Ух ты! Какая красота...
Такие насыщенные у вас заплывы там были.
Даже немножко завидно...
Путешествие, сноркелинг, морские национальные парки
#41
Отправлено 17 Май 2018 - 03:11
С уважением, Сергей Марченков.
#42
Отправлено 19 Май 2018 - 19:47
Новая тема - Таиланд.
Одним из популярных туристических направлений с пляжным отдыхом в Таиланде является Пхукет. Морякам естественно хочется увидеть какую нибудь живность в море. Был там в 2010 году. После цунами 2004 года под водой уже все выглядело так. Фото со снорклинга. Пляж Карон, левая часть вдоль мыса, Пхукет, Таиланд.
- Krasivaja, vaniamix и ilys это нравится
С уважением, Сергей Марченков.
#43
Отправлено 20 Май 2018 - 10:56
Шикарные композиции!
- Sergey M это нравится
#44
Отправлено 20 Май 2018 - 20:31

Популярное сообщение!
Продолжаем.
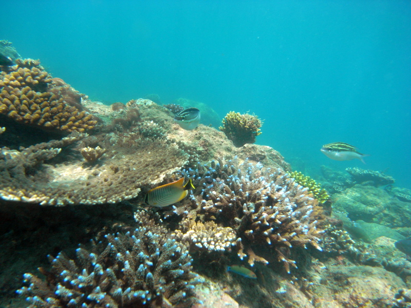
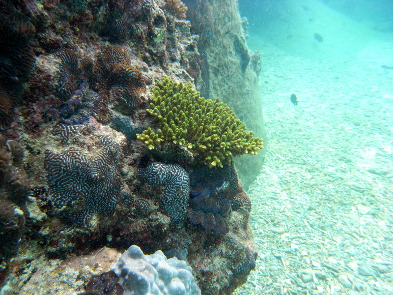
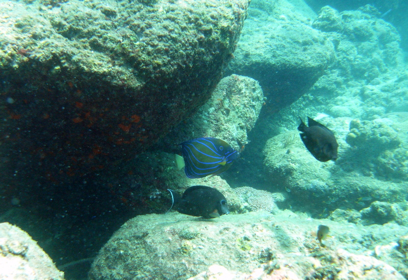
На снорклинге в этом месте меня поразило две вещи. В месте, где находиться дайв центр, на дне полно мусора из сетей и веревок. Картина очень унылая. Я представляю впечатления людей от увиденного, которые впервые погружаются с расчетом увидеть подводную красоту (может это специально так, что бы сыграть на контрасте). Второе - на небольшом отрезке (особенно ближе к мысу и вправо от него) сконцентрировано очень большое разнообразие гидробионтов (увидел 5 видов мурен, 3 вида клоунов, несколько видов актиний, ангелов, бабочек и т.д.). Фото со снорклинга. Пляж Карон, левая часть вдоль мыса, Пхукет, Таиланд.
- Sleepy, Александр Авдеев, WILL и 5 другим это нравится
С уважением, Сергей Марченков.
#45
Отправлено 20 Май 2018 - 21:42
Анна, я с собой уже несколько лет вожу пояс для грузов, но так им и не воспользовался. Попробовал пару раз нырнуть с камнем, но всплывать как то не комфортно получалось, поэтому оставил эту затею. Видно вес камня неправильно подобрал. Погружался на дайвинге один раз. Это был первый и последний, так же проблема с ушами. Хотя с возрастом чувствую под водой все лучше и лучше. К концу отпуска спокойно ухожу на 4 метра без продувки. А Вы в ластах ныряете? Потому что у меня был случай, что ласты забыл в лодке, а лодочник с ними уехал и я остался без них один на острове. Так я попытался нырнуть, у меня даже на 1метр не получалось. К счастью лодочник увидел мои ласты и через час привез. Я был спасен от позора.
Проблему с ушами нужно просто пережить, после первого погружения очень болели, но в течении года продувался в сауне, и во второй и последующие разы проблемы ушей уже не было...
Красивых погружений. Прекрасные фото!
- Sergey M это нравится
Я за любой кипишь, кроме голодовки!
мой аквариум мой аквариум версия 2
#46
Отправлено 20 Май 2018 - 21:45
обычно дайв амуниция как и горнолыжное снаряжение бесплатно к перевозу в большинстве авиакомпаний, но нужно уточнять по перевозу багажа.У меня проблем с амуницией никогда не было. К слову, очень удобно летать Этихадами у них 15кг. дайверского шмурдяка бесплатно.
Эта информация есть у них на сайте, но порой о ней не знают представители компании при регистрации)))
Если соберётесь держите под рукой смартфон с открытой страницей на их сайте.
Зубы у морских змей действительно не ахти, чего не скажешь о яде...
Я имел ввиду костюм коротыш, т.е. руки и ноги голые, соответственно защиты нет.
- Sergey M это нравится
Я за любой кипишь, кроме голодовки!
мой аквариум мой аквариум версия 2
#47
Отправлено 21 Май 2018 - 03:35
обычно дайв амуниция как и горнолыжное снаряжение бесплатно к перевозу в большинстве авиакомпаний, но нужно уточнять по перевозу багажа.
Так как я не дайвер, на меня эти правила не распространяются. Летал раньше в основном авиакомпанией Emirates, у них 30 кг. бесплатно, этого вполне достаточно. Но они прекратили у нас полеты в 2014 году, поэтому сейчас до Дубаи лечу Fly Dubai, но билеты беру у Emirates (представительство еще осталось), так как все условия полета с Эмиратами распространяются и на Флайдубаи. К тому же, перед последним перелетом на острова, делаем с женой остановку на пару дней (Бангкок, Сингапур, Куала Лумпур и т. д) и в отеле на месяц оставляем теплые вещи. Как правило в больших отелях эта услуга бесплатна и потом уже летим на острова. Время путешествия старайтесь выбирать в зависимости от местности куда Вы направляетесь. Как правило, все что выше экватора в наши зимние месяцы там сухой сезон, и наоборот, за небольшим исключением.
С уважением, Сергей Марченков.
#50
Отправлено 23 Июнь 2018 - 20:57

Популярное сообщение!
Продолжая тему Таиланд, хочу поделиться впечатлениями о посещении еще одного популярного туристического места - о. Самуи. Естественно все в рамках подводной жизни. Проживал в отеле Жасмин. Неплохой маленький спокойный отель, рядом слева небольшой коралловый риф. Не повезло с погодой (море было не спокойное и соответственно вода очень мутная), поэтому фотографий с этого места нет, но один заплыв без камеры все таки успел сделать. Видел достаточно крупных каракатиц и немного бабочек. В принципе пару дней можно там поплавать. Купил тур для снорклинга на о.Тао. Места на суше очень красивые, да и под водой было на что посмотреть, там находится сайт под названием "Японский сад". Единственное неудобство, это то, что в заповедник не пускают с ластами (заставили оставить все на корабле), а течение в момент отлива было приличное, да и времени было маловато.
Поэтому, кто желает более подробно посмотреть эти места, необходимо селиться там на острове на несколько дней (небольшие отельчики там есть).
- Александр Авдеев, Vadim161, Krasivaja и 9 другим это нравится
С уважением, Сергей Марченков.
#51
Отправлено 02 Сентябрь 2018 - 01:53
Продолжая тему - путешествия для моряков, следующая страна Малайзия. Побывал на о. Лангкави (север страны на границе с Таиландом). Достаточно большой остров с различными пляжами и собственным океанариумом. Но к сожалению мест для снорклинга не так много. Отель (Meritus Pelangi Beach Resort) достаточно большой. Огромная зеленая территория с многочисленными прудами. В общем -красиво. Песчаный пляж метров 300-400, каждое утро убирается специальной техникой. Кораллов конечно нет, вода немного мутноватая. Кораллы встречаются на северо-западном побережье острова, но там достаточно высокий прайс в отелях. Купил поездку на сноркелинг на о. Раяр (Payar). Сноркелинг достаточно оригинальный. Привозят вас на остров, на один из небольших пляжей, люди плавают 15-20 мин, затем гиды кормят акул, а когда они уже поели людей запускают опять в море по фотографироваться с ними. Естественно я этого плана не услышал или не совсем понял со своим уровнем английского, поэтому когда все вышли из воды я естественно продолжал сноркелить не о чём не подозревая. И только когда мимо тебя стали с огромной скоростью проплывать акулы разного размера понимаешь, что, что то пошло не так, а по простому просто становиться страшно. Немного фото.
- Vadim161 это нравится
С уважением, Сергей Марченков.
#53
Отправлено 02 Сентябрь 2018 - 03:33
#54
Отправлено 02 Сентябрь 2018 - 16:37
Очень красиво! Мы в Малайзии жили на Перхентианских островах, там отличный снорклинг и шикарные белоснежные пляжи, рекомендуем
Анна, спасибо за информацию. Как то я упустил эти острова. Нашел их в сети, действительно фото с суши впечатляют, правда как на мой взгляд слишком много народа. Я так понимаю, это скорее всего туристы, которых привозят с материка на однодневную экскурсию. Можете поподробнее рассказать как добирались и где останавливались, что можно увидеть под водой, как там с волнами и течением?
С уважением, Сергей Марченков.
#55
Отправлено 02 Сентябрь 2018 - 17:59
- Sergey M это нравится
#56
Отправлено 09 Сентябрь 2018 - 01:20

Популярное сообщение!
Еще немного о Таиланде. Теперь восточное побережье. Остров Самет. Был там не долго, всего 1 день (брал экскурсионный тур). От Паттайи добирались на автобусе, затем паром. Остров неплохой, единственное на пляжах, куда доставляют однодневных туристов, слишком много народа, но все как правило плещутся около берега. На острове есть небольшие отели с уединенными пляжами. Пляжи достаточно чистые с белым песочком. Под водой можно кое что увидеть если отплыть подальше от берега влево или вправо от основного пляжа. Очень много тридактн очень красивых расцветок.
- Krasivaja, vaniamix, tolja123 и 4 другим это нравится
С уважением, Сергей Марченков.
#57
Отправлено 24 Декабрь 2018 - 05:31
Заканчивая тему Таиланда, немного об острове Ко Кут. Это самый последний остров на юго-востоке Таиланда на границе с Камбоджей. Был в Кокосовой лагуне. Поездка на два дня из Паттайя. Добираться достаточно долго, сперва на автобусе часов 5, затем на лодке. Остров очень мало заселен, имеются небольшие отели, но их немного. Как правило они располагаются уединенно, каждый в своей маленькой бухточке. На суше природа потрясающая, под водой тоже можно кое что посмотреть. Фото попробую немного найти.
С уважением, Сергей Марченков.
#59
Отправлено 21 Февраль 2019 - 03:05
Опять Таиланд. Путешествие для любителей морского аквариума. Одно из самых моих любимых мест в Таиланде это Национальный морской парк Туратао и естественно остров Липе. Его еще называют тайскими Мальдивами. Это самый юг Таиланда на границе с Малайзией. Первый раз посетил его в 2010 году и последний в 2017, так что все изменения морской жизни в течении 7 лет задокументированы на фото. Что удивляет, это очень большое разнообразие морских гидробионтов на небольшом участке и хорошей доступности, будь то домашний риф или поездка на соседние острова.
- Vadim161, lena и АлександрОдинцово это нравится
С уважением, Сергей Марченков.
Количество пользователей, читающих эту тему: 2
0 пользователей, 2 гостей, 0 анонимных











