Посмотрите для меня наличие голожаберников и слизней.
Ок...))) ![]()
Ну обычно голожаберники присутствуют ![]()
Отправлено 25 Апрель 2019 - 15:55
Посмотрите для меня наличие голожаберников и слизней.
Ок...))) ![]()
Ну обычно голожаберники присутствуют ![]()
Всё предельно просто: не ждите удачного момента, возьмите момент и сделайте его удачным!
Отправлено 25 Апрель 2019 - 16:26
Отель я бы не назвал отелем. Это америкос построил небольшую виллу, мне кажется, там номеров 10, чуть выше ослоба, условия хорошие. Он же там сам всем и заправляет. Рифа домашнего, в понимании рифа с огромным множеством кораллов там нет, цель другая была. За рифом едут на Палаван. Хотя уверен там есть и сотни других островов, филиппинское море считается одним из самых красивых. Нужно уезжать недели на 3 хотя бы и смотреть все.Сергей, спасибо большое за содержательный ответ. Если можно опишите отель в Ослоб где останавливались. Я так подробно спрашиваю. потому что найти место для снорклинга с хорошим домашним рифом не так просто, особенно если хочется еще небольшого комфорта в виде горячей воды. Я был на Филиппинах на Негрос в двух отелях, но домашний риф как таковой в одном отсутствовал почти полностью, в другом был неплохой, но после снорка вся одежда была цвета хорошей ржавчины. Кроме этого, сейчас планирую на Раджи Ампат (Индонезия), но найти отель проблематично для снорклинга. В инете получить информацию не так просто. На запрос выпадают в основном раскрученные отели для дайвинга. Обычно там или цена зашкаливает или все только для дайвинга (пакет необходимо приобретать), или цена трансфера на остров в районе 500 евро (это сопоставимо с ценой перелета из Сингапура в Соронг). и как правило нет мест.
Отправлено 26 Апрель 2019 - 02:49
Ну воооот.... ))))
А у меня в планах вот по этой бухточке поплавать
Татьяна, а что цифрами обозначено на второй карте? ![]()
С уважением, Сергей Марченков.
Отправлено 26 Апрель 2019 - 09:32
Эта картинка с форума... там человечек объяснял, что 14-15 удобный вход с лагуны...
Остальным цифрам определения не было... но это наверное такая разметка рифа....где и что))) ![]()
вот где 28 точно знаю первый спуск в воду...где не очень глубоко
сам мостик метров 400, то ещё приключение ходить купаться)))) ![]()
Всё предельно просто: не ждите удачного момента, возьмите момент и сделайте его удачным!
Отправлено 11 Май 2019 - 18:10
Эта картинка с форума... там человечек объяснял, что 14-15 удобный вход с лагуны...
Остальным цифрам определения не было... но это наверное такая разметка рифа....где и что)))
вот где 28 точно знаю первый спуск в воду...где не очень глубоко
сам мостик метров 400, то ещё приключение ходить купаться))))
Татьяна, как поездка? Удалось преодолеть мостик в 400 метров?
С уважением, Сергей Марченков.
Отправлено 11 Май 2019 - 18:39

Популярное сообщение!
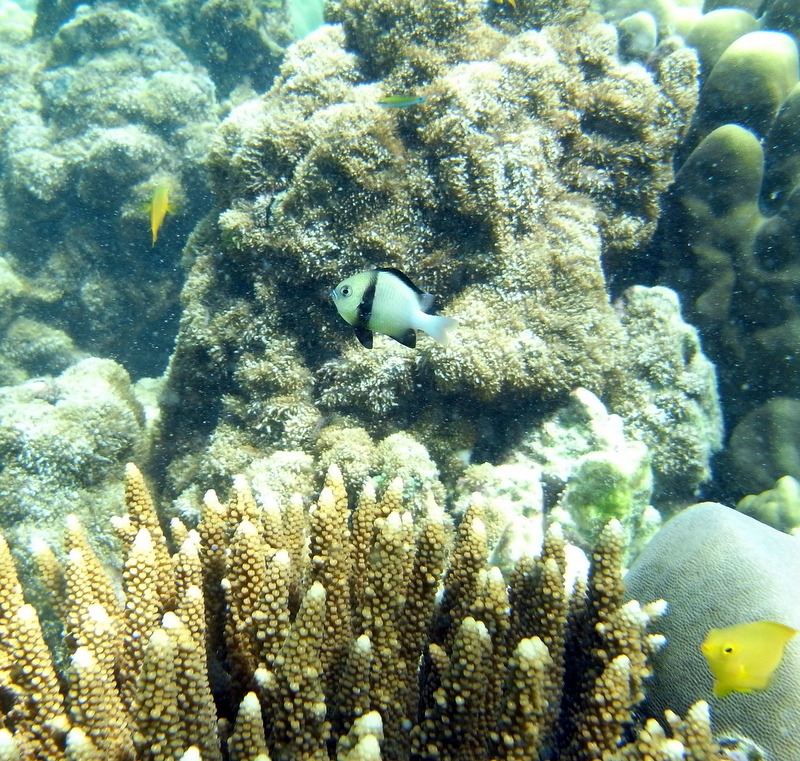
Продолжаю тему Таиланда, а именно Национальный морской парк Туратао и в частности о. Липе, 2012 год. Кораллы после жары 2010 года стали немного восстанавливаться, но и остров стал более популярным. Отели стали строиться даже в тех местах, где раньше были свалки и пустыри. Старые небольшие отельчики стали расширяться и обновляться. Например, отель в котором мы всегда останавливаемся в 2010 году имел 14 номеров (7 домиков по два номера в каждом), то к 2015 году там уже 70 номеров. Туристов привлекает очень хорошее море с многочисленными пляжами на близлежащих необитаемых островах и развитая инфраструктура самого Липе. Для меня же - большое разнообразие подводной жизни рядом с отелем.
Немного фото с поездки в 2012 году. Сноркелинг с фотоаппаратом, остров Липе, Таиланд.
С уважением, Сергей Марченков.
Отправлено 13 Май 2019 - 14:17
Татьяна, как поездка? Удалось преодолеть мостик в 400 метров
Сергей , приветствую. ![]()
Поездка, отличная. Погодка конечно была неожиданно свежей для Египта ... и ветреной.
Мостик вообще не проблема, по дороге можно наблюдать скатов и прочую живность, не так много, но есть. ![]()
Сам риф несколько разочаровал. Из-за ветров к соседям не ходили, посвятили время релаксу.
Вчера прилетели... сижу ловлю улиток неритинок , которых подселила. ![]()
Одну нашла вышагивающей по тумбе в неизвестном направлении, наверное домой ....
И я её понимаю.... в квартире +19, за окном +7
Сама ушла бы ![]()
Всё предельно просто: не ждите удачного момента, возьмите момент и сделайте его удачным!
Отправлено 13 Май 2019 - 14:53
Татьяна, с приездом. Сочувствую на счет погоды. В этом году везде так. Я тоже немного был разочарован погодой в Индонезии. Если бы не длительный срок отпуска и то что я люблю все мелкое (макро съемка), поездкой был бы полностью разочарован. А так, в течении месяца, несколько дней все таки удалось поплавать и по фотографировать. ![]()
С уважением, Сергей Марченков.
Отправлено 13 Май 2019 - 16:17
Да я не расстроилась... ![]()
Кстати оказалось очень удобно.... что ласты в соседнем магазине можно взять на прокат.... за 1 американский рубль в день.
Фотографии может и у меня есть, надо посмотреть, что там получилось ![]()
Пока всё лень.... утеплилась, достала обогреватель.... пью сок манго, смотрю в аквариум. ![]()
Поцилопорка вроде пока жива.
Из нового увиденного понравилась чёрная маленькая крылатка.... нарядная чертовка ![]()
Из удивительного....два разных клоуна в одной актинии. Вообще считала, что в Египте клоуны одного вида...
Много разных бычков в паре с креветками... прям целые деревни норок .
Отшелы....мелких пришлось выискивать, крупные в основном... при попытке одного сфоткать получила ощутимый такой укусик ![]()
Всё предельно просто: не ждите удачного момента, возьмите момент и сделайте его удачным!
Отправлено 13 Май 2019 - 17:09
Погодка конечно была неожиданно свежей для Египта ... и ветреной.
А вот наша 18-я неделя вся была 34-35C.
Из нового увиденного понравилась чёрная маленькая крылатка.... нарядная чертовка
Из удивительного....два разных клоуна в одной актинии. Вообще считала, что в Египте клоуны одного вида...
Удивило, что не видел ни клоунов, ни актиний, вообще...
А так и риф был очень красивый, и отель понравился.
Отправлено 13 Май 2019 - 23:48
Да я не расстроилась...
Кстати оказалось очень удобно.... что ласты в соседнем магазине можно взять на прокат.... за 1 американский рубль в день.
Фотографии может и у меня есть, надо посмотреть, что там получилось
Пока всё лень.... утеплилась, достала обогреватель.... пью сок манго, смотрю в аквариум.
Поцилопорка вроде пока жива.
Из нового увиденного понравилась чёрная маленькая крылатка.... нарядная чертовка
Из удивительного....два разных клоуна в одной актинии. Вообще считала, что в Египте клоуны одного вида...
Много разных бычков в паре с креветками... прям целые деревни норок .
Отшелы....мелких пришлось выискивать, крупные в основном... при попытке одного сфоткать получила ощутимый такой укусик
Я вот заметил, что где то за 1-2 недели до отпуска начинаются проблемы с домашним аквариумом, в частности с его техническим обеспечением. То волновые помпы перестают работать, то таймер свет не включает, то дозирующая помпа глючит и т.д. Техника стоит самая простая и работает с десяток лет, но вот перед отпуском всегда надо повыпендриваться, что бы хозяин поволновался. А так на месяц оставляю и по приезду все нормально, хотя небольшие потери бывают.
Татьяна, как согреетесь просим несколько фото в студию.
С уважением, Сергей Марченков.
Отправлено 13 Май 2019 - 23:51
А вот наша 18-я неделя вся была 34-35C.
Удивило, что не видел ни клоунов, ни актиний, вообще...
А так и риф был очень красивый, и отель понравился.
Евгений, а где были и в каком отеле?
С уважением, Сергей Марченков.
Отправлено 14 Май 2019 - 09:15
Евгений, а где были и в каком отеле?
Cyrene Grand Hotel, находится рядом с аэропортом Шарм-эль-шейха . Риф местами довольно резко уходит вниз. Наросшие кораллы образовали множество огромных гротов и пещер. Расстояние между понтонами отелей метров 200-300, замёрзнув, всегда есть где вылезти. Когда был сильный ветер и понтоны были закрыты, ходили на понтон отеля Melton Beach. Он находится за поворотом и там был штиль. На територии этого и всех близлежайших отелей есть дайвинг центры. А вот красивая лагуна возле Jaz Belvedere Resort не для снорклинга. Белый песочек и небольшая глубина делает воду бирюзовой, однако риф очень скудный.
Отправлено 14 Май 2019 - 22:19
Ну как-то казалось, что в море выбор есть... и немного другое поведение.
Плюс...Красное море вроде не отличалось разнообразим клоунов, ну или я что-то не так поняла .... ![]()
Всё предельно просто: не ждите удачного момента, возьмите момент и сделайте его удачным!
Отправлено 15 Май 2019 - 17:45
Ну как-то казалось, что в море выбор есть... и немного другое поведение.
Плюс...Красное море вроде не отличалось разнообразим клоунов, ну или я что-то не так поняла ....
Они там (клоуны) очень агрессивны...
Я за любой кипишь, кроме голодовки!
мой аквариум мой аквариум версия 2
Отправлено 16 Май 2019 - 02:37
Из удивительного....два разных клоуна в одной актинии. Вообще считала, что в Египте клоуны одного вида...
Я тоже ни разу не видел в Египте разного вида клоунов на одной актинии, хотя прочесал несколько рифов вдоль и поперек с 2003 по 2010. В частности в Индонезии, Таиланде, Филиппинах это достаточно частое явление, особенно если актиния очень внушительных размеров. Еще встречаются экземпляры клоунов с различными отростками на теле и не свойственной традиционной виду окраской.
Вот немного нашел в своих архивах.
С уважением, Сергей Марченков.
Отправлено 16 Май 2019 - 06:27
Татьяна, судя по многочисленным ответам на Ваш вопрос мы с Вами тут одни. Кстати в Египте был последний раз до их революции, интересно как там сейчас. На сколько знаю рейсы с России туда были отменены. Как туда сейчас добираются?
Отправлено 16 Май 2019 - 11:04
Отлично там сейчас! Мы были 2 недели на майских в Шарме. Много занимались дайвингом (PADI кстати тоже получал в Шарме), летели чартером через Анталию из Воронежа. Очень ждут русских туристов, в основном отдыхают украинцы. Русских мало.
А многие пишут что начало мая в этом году в Шарме прохладно, за счет сильного ветра. Хотя для дайвинга наверное проблемы только на выходе. Меня конечно больше интересует снорклинг для ленивых. Так - взял маску, трубку, ласты и вышел из отеля на домашний риф в любое время и наслаждаешься подводным миром. С волной снорклингом особо не позанимаешься.
С уважением, Сергей Марченков.
0 пользователей, 1 гостей, 0 анонимных